조황관리HOME / 조황관리 / 상세정보

제목 : 3/15 엄짙척호 우럭조황
등록일 : 2026-03-15



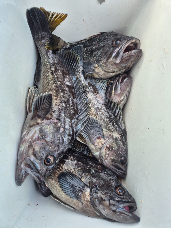
입질은 많이 예민했습니다. 다행이 몇군데서 씨알좋은 우럭들로 

 쌍걸이등 나와 손맛 찐하게 봤습니다 .함께하신 조사님들 수고하셨습니다.

KakaoTalk_20260315_173836770_21.jpg


KakaoTalk_20260315_173836770_22.jpg


KakaoTalk_20260315_173836770_23.jpg


KakaoTalk_20260315_173836770_24.jpg


KakaoTalk_20260315_173836770_20.jpg


KakaoTalk_20260315_173836770.jpg


KakaoTalk_20260315_173836770_01.jpg


KakaoTalk_20260315_173836770_02.jpg


KakaoTalk_20260315_173836770_03.jpg


KakaoTalk_20260315_173836770_04.jpg


KakaoTalk_20260315_173836770_05.jpg


KakaoTalk_20260315_173836770_06.jpg


KakaoTalk_20260315_173836770_07.jpg


KakaoTalk_20260315_173836770_08.jpg


KakaoTalk_20260315_173836770_09.jpg


KakaoTalk_20260315_173836770_10.jpg


KakaoTalk_20260315_173836770_11.jpg


KakaoTalk_20260315_173836770_12.jpg


KakaoTalk_20260315_173836770_13.jpg


KakaoTalk_20260315_173836770_14.jpg


KakaoTalk_20260315_173836770_15.jpg


KakaoTalk_20260315_173836770_16.jpg


KakaoTalk_20260315_173836770_17.jpg


KakaoTalk_20260315_173836770_18.jpg


KakaoTalk_20260315_173836770_25.jpg


KakaoTalk_20260315_173836770_26.jpg


KakaoTalk_20260315_173836770_27.jpg


KakaoTalk_20260315_173836770_28.jpg


KakaoTalk_20260315_173836770_29.jpg
 


 


*** 군산 엄지척호 예약 안내 ***


예약문의 : 010-4000-4493

오시는길 : 전북 군산시 비응로6 군산낚시터미널

엄지척호 정연봉 선장님께서 몰고 ㅎㅎ 군산낚시터미널 계류장 입항했습니다~^^ 
축하예약 01040004493 

모바일.gif

 
Top